Skip to main content

SoftGenomics®

A suite of applications that support laboratories using cytogenetic and molecular technologies.

The SCC Soft Computer SoftGenomics suite combines the features of SoftCytogenetics® and SoftMolecular®, creating a unified platform that’s ideal for human genetic testing laboratories focused on reproductive, oncology, and pediatric testing. It provides a total solution for laboratories performing genetic and genomic testing in a single application, using a variety of technologies to support cutting-edge testing both for today and tomorrow. SoftGenomics supports ordering, testing, documentation, and reporting activities, including chromosome analysis and microarrays. It also includes interfaces for instruments and foreign systems and supports Web-based online ordering.

Identify Genetic Variants

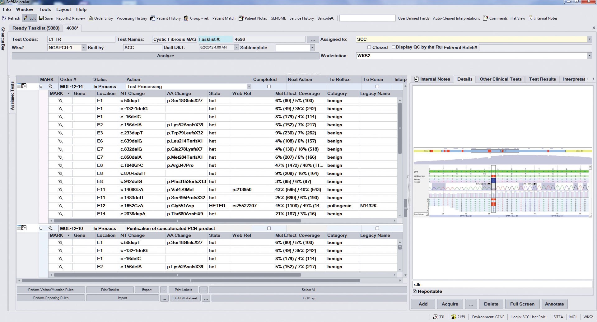
Easily identifies variants to facilitate their interpretation and reporting with linkages to relevant databases and a Gene Master Table for variant interpretation on the single gene level.

Support for Multiple Interfaces

SoftGenomics interfaces with many instruments and other applications, providing flexibility for users with multiple sites while reducing the need for manual data result entry.

Improved Ordering

Reduces the time and cost of the improved ordering process with automatic prompts and Wizard functionality when placing orders to reduce resource needs in accessioning and eliminate delays experience with incomplete paper requisitions.

Features and Benefits

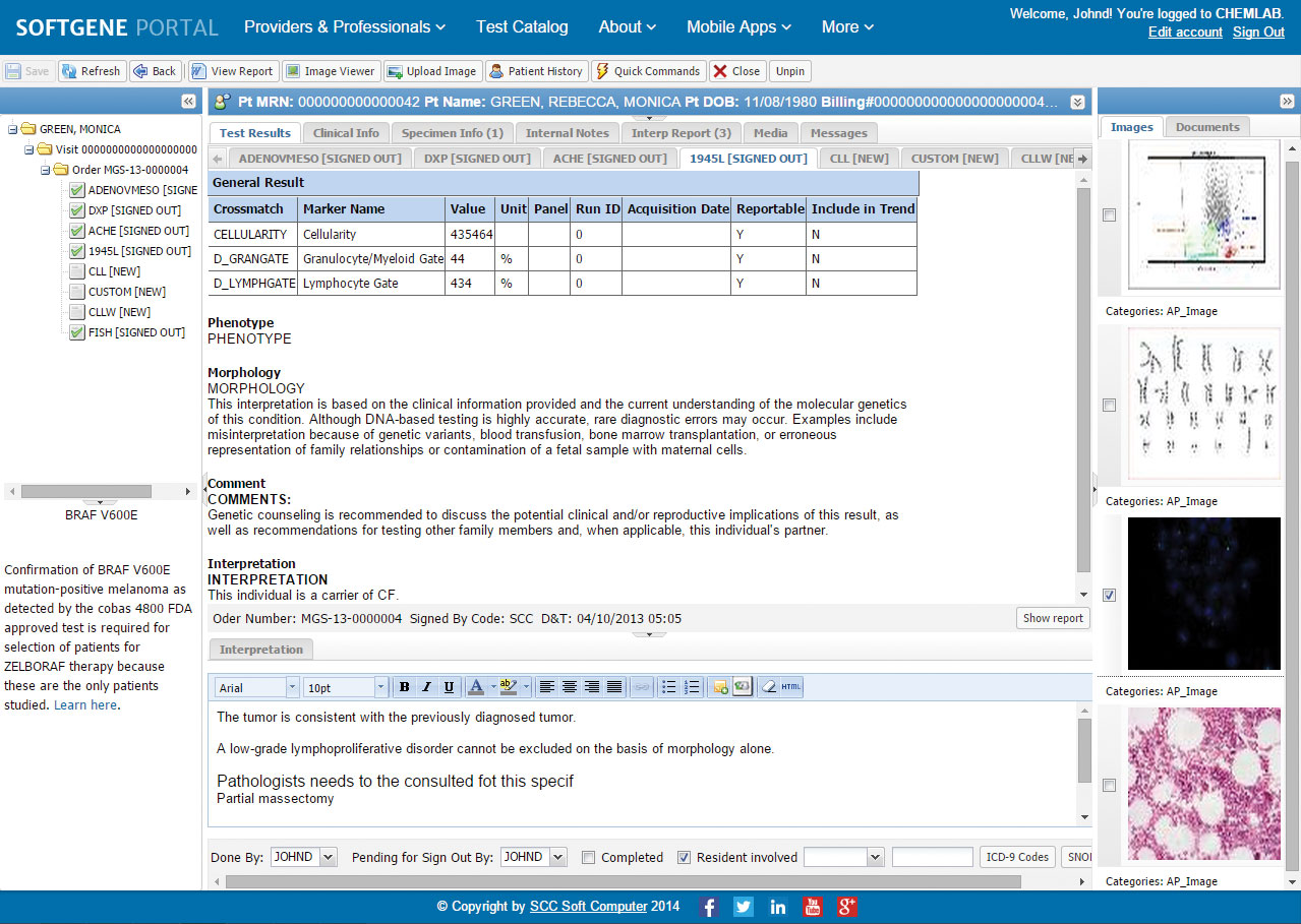
The patient portal allows patients to access their reports in compliance with the patient access law enacted by the Department of Health and Human Services (HHS). It provides collection scheduling, allowing patients to schedule sample collections online at their convenience. This feature ensures timely and flexible appointment setting, while also reducing the administrative burden of collection on staff.

The Gene Master table allows users to capture genetic information at the single-gene level from other databases on the internet and makes it available for variant interpretation. Variant/Mutation tables categorize information on variants, including versioning and linkage to relevant databases like NCBI and OMIM. This feature facilitates the entry, management, and interpretation of variants. SoftGenomics also provides versioning for genetic information, allowing users to track the data used for each interpretation. This benefit is most useful for cases where new information changes the interpretation or category of the variant.

SoftGenomics helps users easily identify reportable variants in next-generation sequencing (NGS) results, including panels, WES, and WGS. It also places variants into categories like pathogenic states, association with medically actionable disorders, and whether the finding is related to the patient’s phenotype. Users can include hyperlinks to websites associated with each variant. In addition, SoftGenomics provides Web-based reporting, with options for defining reporting levels. Users can provide their clients with clear, concise reports that contain only the desired results, along with access to supporting information on the internet.

SoftGenomics interfaces seamlessly with instruments that perform sequencing and fragment analysis, and uses these interfaces to perform data entry, eliminating the investment of time and errors associated with manual data entry. This benefit greatly increases the accuracy and efficiency of cytogenetics labs.

Users receive alerts and notifications based on the client’s parameters, including patient demographics, tests, and results. This reduces communications via paper and telephone while ensuring the accurate, timely delivery of instructions and other critical information. SoftGenomics also reduces the risk of errors and inefficiencies by minimizing the frequency of personnel interruptions at inopportune times.

The system selects results based on the most common chromosome abnormalities for that gene, ensuring consistent results and eliminating typographical errors.

Reports allow users to easily review, correlate, and reference familial rearrangements.

Users can access the patient’s complete testing history from the current file. The easy review and correlation of historical and concurrent testing results supports accurate ordering and interpretation.

Auto reflex testing based on client-defined rules functions across technologies, eliminating the errors of manual reflex ordering. It also reduces the turnaround time of reflex tests.

SoftGenomics improves online ordering by adding Wizard functionality that provides real-time updates on incoming volumes. This feature ensures that users receive required data by automatically prompting the ordering party with appropriate guidance on ordering tests. It also allows users to request additional information needed for specific tests. In addition, SoftGenomics reduces the resources needed to place and follow up on orders, while also eliminating delays due to incomplete requisitions and including support for optimized patient care by reducing unnecessary testing.

SoftGenomics replaces phone and fax communications with online notifications that include the following:

  • Status updates of test results
  • Online availability of reports
  • Reflex and adjunct test guidance
  • Hyperlinks to relevant journal articles or policy statements
  • Forms such as required consent or add-on test attestation forms

This feature allows users to receive real-time notifications without the delays imposed by office hours and personnel availability, thus providing administrative efficiency gains and cost savings.

SoftGenomics supports task list analysis by combining patient results with the Gene Master Table and Variant/Mutation Table, thus facilitating the interpretation of results. It also includes a direct link between tables, providing a clear association of data between these sources. This functionality supports array, MLPA, PCR, qPCR, fragment analysis, and other types of sequence testing.

SoftGenomics automates many tasks in genetics testing, reducing errors, saving time, and cutting costs for cytogenetics laboratories.

Screenshots